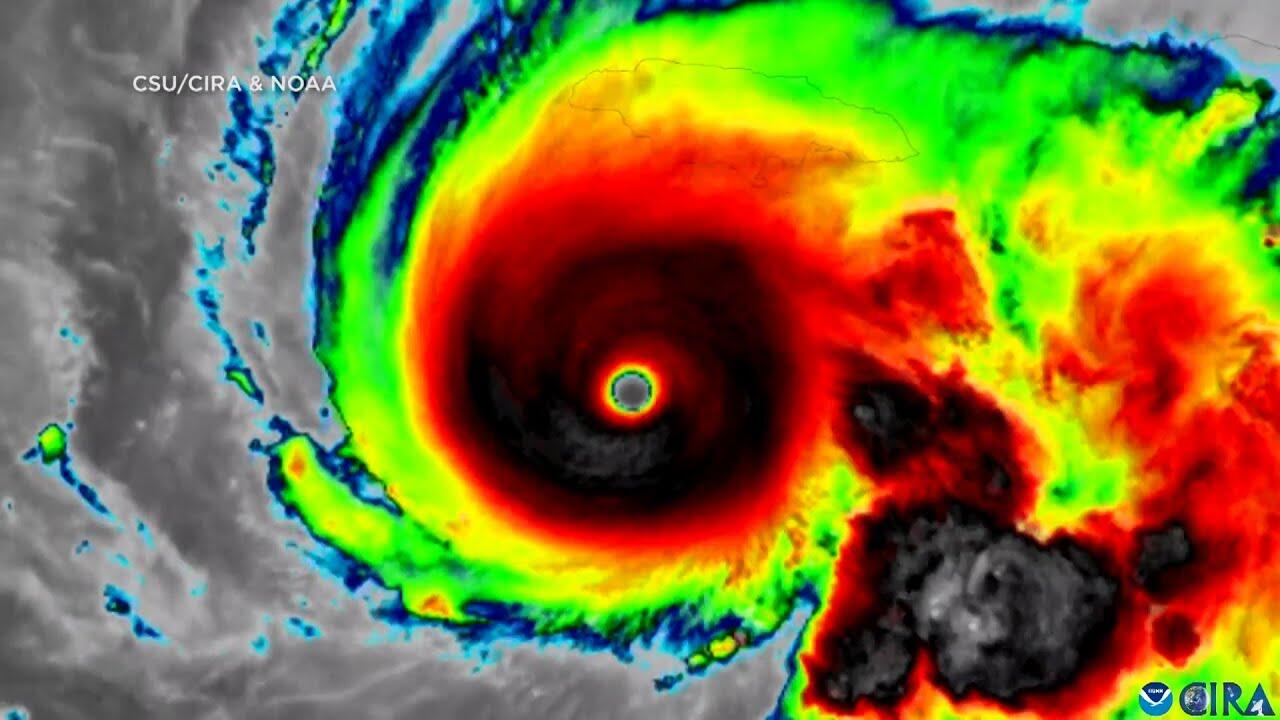
Hurricane Melissa Is Most Powerful Storm To Hit Jamaica In At Least 174 Years

Parts of the Caribbean are battening down and preparing for an historic weather event. Hurricane Melissa is a Category 5 storm, and the National Hurricane Center says its wind speeds reach up to 180 mph. As Melissa approaches Jamaica, people there are securing their homes and property. The storm is expected to be the most powerful to hit the island since weather records have been recorded – for 174 years.

Дата на публикация: 28 октомври, 2025
Категория: Друго

Показване на още